
We spent six days in Nawi Marina, catching up with friends, restocking the boat, and getting a few boat jobs sorted. Savusavu, the town across the river from the marina, was great for re-provisioning, but other than buying food and eating food, there isn’t a whole lot to do there. Indeed, the local geothermal streams, an obvious potential tourist attraction, was instead used as a kind of free, communal oven. Whilst tourists may have to entertain themselves, this lack of commercialisation is one of Fiji’s great charms.



One of the last jobs we had to do before leaving Nawi was refuel. There is a lot of chat amongst cruisers about the quality of fuel bought in the islands. This is because contaminated fuel can prevent an engine from working, demand expensive repairs, and creates an obvious safety issue. In the past, buying diesel was something of a gamble, and the people in Nawi are clearly aware of this as the guys who helped us fuel up went to great pains to prove to us that their diesel had no contaminants. They used a kind of litmus paper to show the absence of water — then put the tester under a tap to show us the change in colour that would occur if any water was present. They showed us their filtration system, and they used clear hose so that you could see that the diesel was clear and a consistent colour. As the pumps haven’t been installed yet, they then hand-pumped about two hundred litres on board. All with happy smiles and a thumbs up. Compared to dragging jerrycans around you have to give this kind of service five stars!

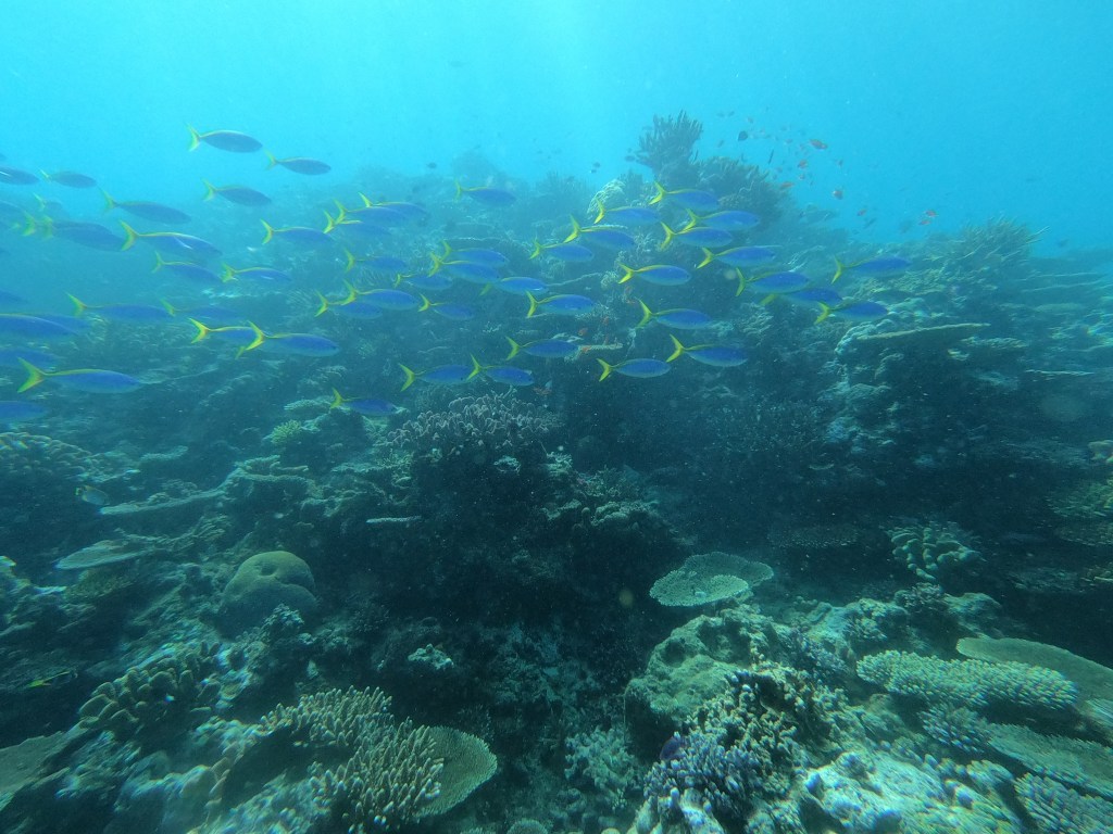
We left Nawi that afternoon and slowly sailed back towards the reef entrance where we had decided to anchor for the night. We went for a snorkel that afternoon, and memorably were met by a school of black and white fish that not only showed no fear, but surrounded us and nibbled at any exposed areas they could reach. The feeling wasn’t entirely pleasant, so we didn’t hang around in the water for very long.

In the evening we took the dinghy to a resort owned by Jacque Costeau’s son. The setting was amazing and we stuck a nose into the restaurant but didn’t bother asking to see a menu as the food was clearly going to be pricey.


Our plan was to try and head north east so that should a weather window appear we could sail to the islands of Lau, an island group that lies to the east of the main Fiji islands where visitors have to check in, which means sailing back against the prevailing winds. The wind direction was marginal next day, but marginal is better than right on the nose so we gave it a go. Unfortunately, there was more motoring than sailing and by early evening we were getting a bit sick of it so we found an anchorage. Our chosen place to stop overnight was Fawn Bay, a lagoon accessed by threading your way through a channel in the coral reefs.
We passed an uneventful night and set off early next day hoping for a better sail. We motored out through the double dog leg and found a stiff breeze blowing directly on land and a short sharp chop that saw Taurus hobby horsing through the waves. We generally raise the main when heading into the wind but on this occasion, perhaps because of the wind strength or the wave action, the reefing lines at the rear of the sail were blown back into the wind generator and instantly became hopelessly tangled. Although there was the potential for damage to the wind generator and reefing line this was not a serious situation, but it did mean that we couldn’t raise the mainsail.

Within minutes, however, things took a serious turn for the worse when the engine oil pressure alarm went off. Oil pressure alarms are not something that can be ignored because the engine can quickly seize and be ruined. We were now on a lee shore with a narrow and difficult coral passage between us and safety in a yacht whose sailing ability was impaired and whose engine needed to be turned off ASAP. We initially thought to turn back, thinking we could use the jib to sail into the anchorage, but the turns were so narrow and sharp that one mistake would see us on the rocks. Instead, we decided to bring out the jib and see if Taurus could claw herself away from the coast on a single sail. Thankfully, in the strong wind she proved able to do just this and we were able to turn the engine off whilst gaining sea-room and thinking time. The engine issue had to wait, there was no obvious oil leak in the bilge so we knew nothing catastrophic had happened, but the priority had to be sorting out the main sail so that we could sail efficiently. We thought briefly about cutting the reefing line but in the strong wind it seemed likely that we would need our third reef fairly shortly. The best option, though not an easy one, was to use the bosun’s chair to climb the rear stay and undo the ropey mess. This we managed to do, and whilst I wouldn’t choose to climb the rearstay again in those conditions, the line was released, the generator saved, and we had an operational mainsail again. Sadly, we don’t have any photos of the operation as Cara said that she was busy belaying me so that I didn’t fall to my death, I ask you…
After the morning’s excitement we had a great sail. The wind slowly built to just under 30 knots so we chucked in the third reef, glad we didn’t cut the line (though we could have rethreaded something fairly quickly), and flew along on a broad reach. This angle of sail, with the wind at ninety degrees to the direction of travel, is Taurus’ preferred angle, and we spent much of the day effortlessly cruising along at 8 knots, hanging out whilst the Hydrovane steered.

Our destination was Viani Bay, a well known anchorage famed for the quality of the snorkelling and diving on the nearby Rainbow Reef. The reef extends far out from land so that accessing the bay means sailing a long way in apparently open sea before you can enter the channel and sail back. We were entertained during this last hour by the odd sight of a rainbow that seemed to hug the contours of the island we were sailing next to. It’s not something either of us had seen before.

We had just lowered the anchor when John from Maina came up in his dinghy to inform us that the local bar’s happy hour started in fifteen minutes. Evening’s entertainment sorted!

There were several yachts already in the anchorage when we arrived. These included John and Fiona on Maina who we first met in Tonga, Bruno and Erin on Love Machine who we met in Nawi, and Ding on Chiquita — a solo sailor who had been sailing around the Pacific, mainly Fiji, for nearly two decades. Cruising sailors are often interesting folk, and this wee collection was no exception to the rule. Erin is a marine scientist who has recruited a number of cruisers to collect data, her husband Bruno built their yacht himself, is a sail maker, and a world class sailor having sailed competitively all over the globe. John was a university lecturer and Fiona a dentist who specialised in treating anxious patients. Ding, it turned out, had been a member of the British Olympic Sailing Team, as well as a former marine surveyor for Lloyds of London. We were in exalted company, but luckily everyone enjoyed a drink or two and the conversation and wine/beer/rum flowed.

Next day we were invited aboard Ding’s beautiful Sweden 50. These yachts are the last word in quality, and this one had taken Ding all round the Pacific for the past seventeen years. Ding was in the process of rewiring her following a fire when we came aboard (hence the switchboard being exposed behind him) but he was far from overwhelmed by the task, instead seeming to relish the opportunity. He kindly offered us a copy of his GPS tracks, a kind of digital breadcrumb dropped everywhere he had sailed, accurate to within a few metres, and able to be overlaid on our charts. This kind of of information is invaluable in areas that have been poorly surveyed, and allow a degree of certainty which means that you can enter areas in poor visibility — though it doesn’t mean it’s not nerve wracking as we were soon to discover!
The next character we were to meet was Jack Fisher, a local diver and fisherman. Jack is a bit of a living legend, having taken cruisers out to the reef and shown them where to dive for decades. Recently, ill health and the opening of three dive schools in the area has hit Jack’s business, but he was very happy to show us his favourite dive spot for a small fee. At F$20 a head, Jack’s price is a bargain compared to the dive shops that charge almost $350 for two dives.



The diving was great, especially for someone used to diving in Dunedin where an 8mm wetsuit is required and visibility is often reduced to a couple of metres. The water is so warm here that I dived in a rash top and shorts, meaning I could dispense with nearly all my lead weights. The fish life was abundant and the coral spectacular.

Unfortunately the local dive shop wouldn’t refill our tanks, something that all dive shops in New Zealand would do for about $10. The German lady owner went to some pains to explain, very reasonably, that they don’t want to run their compressor all the time, filters are expensive, and so on. Despite these assurances it was difficult not to feel that the real reason is because they want to discourage independent divers. I understand why this might be the case, businesses are in the business of making money after all, but it seems a shame to limit the experience of the reef to those wealthy enough to pay the pretty stiff fees. The difference between Jack’s expectation and those of the business arguably reveals the dichotomy between past and current cruising trends. The old-school, affordable cruiser life-style hasn’t disappeared, but it is endangered. The consumer ethos of modern life has been taken to sea, so that many modern sailors choose to sail massive yachts or behemoth catamarans which serve as floating apartments — complete with all the luxuries of home. The simplicity and self-reliance that was so valued by sailors only a decade or so ago is fading away, or at least becoming marginalised. Not so long ago, Taurus at 39 feet would have been considered a large yacht, but today she is regarded as small. The marine and tourist industry is happy to cater to the demands of this cashed-up-ideology, and charges accordingly.

One of the reasons that Cara and I chose to live on a boat was because we wanted to embrace a more minimalist lifestyle, to chase experience and quality of life rather than the almighty dollar. A smaller boat is not only cheaper to buy but also, and more importantly, far, far cheaper to run and sail long term. Despite this well known fact, we have met numerous people who have sold everything they own in order to buy the biggest boat they can afford. I understand that some people have good reasons for taking this course, the desire for family to come sailing for instance. Nevertheless, the outcome is limited potential income, from rent for example (which we depend on), and reduced opportunity for a comfortable return to land (should ill-health perhaps demand it), whilst simultaneously incurring far higher cruising expenses. In my view that’s lose/lose. I recognise that I’m standing on a soapbox, that other views are equally valid, and people can spend their money anyhow they want, but as I know some people reading this blog have hopes of cruising in the future I will end with Larry and Lin Pardey’s famous advice: ‘go simple, go small, go now.’ Cara and I decided to follow this dictum and we haven’t regretted it yet.

Our hope to get to Lau led us to leave our friends in Viani Bay and head to Qamea Island and Nadilo Bay. The island is to the south east of Vanua Levu, so once again difficult to reach due to the prevailing winds, but the weather apps suggested there might be an opportunity to go. Unfortunately, the window quickly shut and we had a miserable sail, beating as close as we possibly could into a stiff wind. Taurus pounded into the steep swell and it was very slow going. Our misery wasn’t helped by a late night the night before — I will in the future be ever wary of Dings who say, ‘one for the road!’ Eventually we thought we could tack but we had misjudged our angles and we had to tack back to get safe access to the channel between reefs. The rest of the day continued to be a headache due to the close angle we had to follow and the numerous reefs and shallows we had to negotiate. The only highlight was catching a wahoo, a tuna-like fish that is great eating, though after three days you can have enough of a good thing!
When things are going badly they tend to continue to go badly, and we ended up running aground trying to anchor in Nadilo Bay. As the old saying goes, ‘there are sailors who have run aground, and there are liars’ but it’s not something that you want to make a habit of, especially on a falling tide. Still, Taurus’ strong construction ensures that a wee contact with land won’t do much more than damage the anti-foul, so we dragged ourselves off and got the hook down.

The weather window to get to Lau continued to shift, and ultimately we had a chance to either motor for ten hours to get there or forget it. After the day of light winds, meteorologists were predicting a week of sou’ easterly gales. We never choose to motor unless we have to, and some of the reports from Lau suggested that it was over-crowded, so not great fun and potentially difficult to find a good anchor spot in the weather coming. Instead we decided to turn north to find shelter in an area that we hoped to be able to continue sailing in, instead of being stuck on anchor.
The light wind and distances involved made a plan difficult to arrive at. We could sail, but we couldn’t sail quickly, and if we didn’t stop at about lunchtime we would not find an anchorage until after dark. I wasn’t keen to anchor early in case the weather came in before expected and we found ourselves stuck on anchor in a reef. After a bit of a confab we decided to keep sailing whilst we could, and, if necessary, sail a bit further so that we could anchor at sunrise


During the sail Cara managed to load Ding’s tracks onto our chart system. The accuracy of the GPS tracks meant that we had the option of entering an anchorage in the dark. Ultimately, this is what we did. We approached Nukusa Channel, the entrance to Also Island, at about midnight in the pitch dark. We knew that there were reefs each side of us, but the channel was about 200m wide. As long as we kept to Ding’s track we should be good. In New Zealand we would think nothing of doing this, but Fiji’s poor charts mean that you can’t navigate a series of bends in coral blindly by chart alone. This kind of exercise is a bit like abseiling. If you have faith in the gear it’s not frightening at all — if you don’t it’s petrifying! We knew the accuracy of GPS, we could see the track, but following it through a reef in the pitch dark was an eerie experience and one that seemed a little too close to fool-hardiness. Needless to say we kept a very close eye on the depth monitor, and in the end it felt a bit like playing an 80’s video game. All I had to do was keep our boat on the charted line — but in this game we didn’t have three lives. Still, within twenty minutes it was all over and once inside the reef we left Ding’s track and anchored in 25 metres of water rather than mess about any more in the dark. The night was so still there was no fear of dragging.
It was with something of a surprise that we woke the next day and looked outside. We knew that we were surrounded by reefs but were met by a wide expanse of ocean. We kept seeing the splashes of large fish all around us but couldn’t work out what they were. Later we heard a loud nasally kind of exhale, a sound that we associate with seals. Are there seals in Fiji we asked ourselves?

An hour or so later a fishing boat came over to say hello. The three Fijians, Pauliasi, Kelemedi, and young Sekove, were so friendly it seemed rude not to invite them onboard. Sekove, who has just started school, was curious about everything, especially the soda stream. I found it telling that Pauliasi, who came downstairs for a tour, looked around in wonder and whispered, “so many electronics.” Even though we think we are doing it simple there’s different levels of simplicity, and our version is a great deal more expensive and complex than that employed by these men who live by the sea.


The mystery of the unknown sea creatures was solved by Pauliasi, who told us that they were turtles. Later on we almost ran one over with the dinghy, but we have yet to get a good look at one of these gentle giants. The fishermen also advised us that the still weather meant bad weather was on its way. We knew that this was the case, but thought we were sheltered on the northern side of the island from the sou’ easterlies due the following day…

Later that day we moved to anchor near Also Island, the home of Jim Bandy who sadly died last year. Jim was well-known in these parts. A self taught engineer, he apparently used to build his own gearboxes for race cars that he drove competitively. Major companies like Ford and Ferrari had him on speed dial so the story goes. Eventually Jim turned to cruising and finding himself in Fiji he made himself so useful to the local community that the chief gave him an island to live on. This paradise was to become his cage. His wife left him, his boat sank during a cyclone, and he became too ill to leave. Jim’s shop and workshop is now run by his Fijian wife, Sophia. This lovely lady clearly misses Jim a great deal, but she made us welcome and allowed us to wander around the island. At the highest point is an SSB aerial made from the mast of Jim’s lost yacht, still proudly wearing a now redundant lewmar winch. It would be nice to have a keepsake from Jim’s island, and the winch is better quality than most on Taurus, but Sophia’s loss seemed too recent and raw for us to entertain making an offer for one of Jim’s possessions.





We returned to Taurus, having been advised that we couldn’t get to the local village to meet the chief until high tide, and settled in for the night. Normally, we take the engine off the dinghy, but the weather was so calm, we felt well protected, and we intended using the dinghy the next day, so made the mistake of leaving it on. Of course, the wind picked up so we went through various stages of dinghy management that all proved inadequate as the weather got worse and worse. Our ‘protected’ side of the island turned out to be anything but, and we had to move Taurus just before dark as we found the wind was channeling down from the hills and was strongest of all where we had chosen to anchor. We didn’t want to move too far in the dark so we got out of the worst of it and determined to make a better job of it in the morning. About 10:30 pm the wind reached 30 plus knots and the dinghy, complete with engine, decided to try and take off. We had already semi-hoisted her to lift her out of the waves and chucked in some jerrycans to weigh her down, but we now had to get the engine off and the dinghy on-board. Ah, the joys of a late night soaking whilst fighting with heavy inanimate objects on a bucking boat in a maelstrom. Despite our best laid plans, the night that followed was one of the most uncomfortable we’ve had onboard, the boat merrily bouncing around its anchor in a most alarming manner. Still, we had a 5:1 anchor chain ratio out and plenty of room to drag so we knew that we were in no danger. Such times remind us that living the dream comes at a cost, and you can’t appreciate the highs if you never experience the lows.

Next time: new adventures await. Difficult to say what as we are now up to date!
Leave a comment